$850,000
$850,000
For more information regarding the value of a property, please contact us for a free consultation.
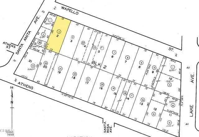
564 Wapello Altadena, CA 91001
Key Details
Sold Price $850,000
Property Type Vacant Land
Sub Type Lots/Land
Listing Status Sold
Purchase Type For Sale
MLS Listing ID P1-21816
Property Sub-Type Lots/Land
Property Description
This premium northern facing lot measures 13,579 sqft (75 ft wide X 180 ft deep approx per plat map) NORTH of Altadena Drive and West of Lake Avenue. This gently sloping prime lot has completed Phase 1 and Phase 2 clearances from the Army Corps of Engineers. The home was destroyed in the recent Eaton Fire in January 2025, and sold for land value only, as-is and where-is. No oak trees on this property! Cash offers only.
Location
State CA
County Los Angeles
Exterior
Utilities Available Cable TV, Electric, Natural Gas, Telephone
View Y/N No
Others
Acceptable Financing Cash
Listing Terms Cash
Read Less
Want to know what your home might be worth? Contact us for a FREE valuation!

Our team is ready to help you sell your home for the highest possible price ASAP

Bought with Sara Darby COMPASS






